|
Дата публикации: 21 сентября 2020 г. В Саудовской Аравии найдены следы миграционного пути из Африки в Евразию, которым 120000 летАрхеологи обнаружили самые ранние человеческие следы, когда-либо найденные на Аравийском полуострове. Древние следы, найденные в Саудовской Аравии, показывают, как люди могли следовать по озерам и рекам, чтобы мигрировать из Африки в Евразию 120 000 лет назад.
Ранее эксперты полагали, что люди передвигались по прибрежным маршрутам, однако последнее исследование показало, что это не обязательно так. Ученые предполагают, что люди могли следовать внутренними маршрутами и шли, ориентируясь на озера и течение рек.
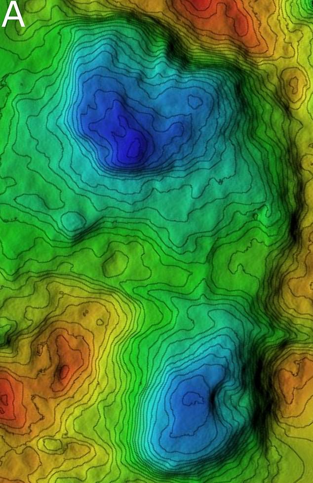
На этом изображении представлена цифровая модель рельефа (ЦМР) рекламного места, на котором виден характерный след человека.
Следы были найдены на севере Саудовской Аравии, в месте, исторически называемом Алатар. В пустыне Нефид наряду с 233 человеческих следов и окаменелостей, обнаружено 369 следов животных, из них 44 следа слона и 107 верблюжьих, что указывает на то, что озеро было популярным водопоем. «Присутствие крупных животных, таких как слоны и бегемоты, вместе с открытыми лугами и большими водными ресурсами, возможно, сделало северную Аравию особенно привлекательным местом для людей, перемещающихся между Африкой и Евразией», - говорит старший автор исследования Майкл Петраглиа (Michael Petraglia) из Института Макса Планка. Сегодня Аравийский полуостров характеризуется обширными засушливыми пустынями, которые были бы неприветливыми для первых людей и животных, на которых они охотились. Но исследования последнего десятилетия показали, что так было не всегда и когда-то здесь была вода и много зелени. Профессор Ян Кэнди (Ian Candy) из Королевского колледжа Холлуэйя, Лондона, соавтор исследования, говорит, что этот период времени является «важным моментом в предыстории человечества». «Изменения окружающей среды во время последнего межледниковья позволили бы людям и животным рассредоточиться по пустынным регионам, которые обычно выступают в качестве основных барьеров в менее влажные периоды, такие как сегодня», - добавляет он. «Эти данные свидетельствуют о перемещениях людей за пределы Африки во время последнего межледниковья, распространившегося на Северную Аравию, что подчеркивает важность этого региона для изучения предыстории человека».
Из сотен следов, обнаруженных в пустыне, семь принадлежат гомининам. Четыре из них, как уверенно утверждают исследователи, произошли от небольшой группы из двух или трех человек, путешествующих вместе. Исследователи утверждают, что следы принадлежат Homo sapiens, а не другим подобным видам, таким как неандертальцы. Исследование опубликовано в Science Advances. Источник: dailymail.co.uk
Популярные издания ФГБНУ «Аналитический центр»
Издания 2019 года
Издания 2018 года
открыть полный список изданий Центра → Документ был изменён 11.11.2019 в 10:50. |
Издания Центра
|
||||||












![Validate my RSS feed [Valid RSS]](/_img/valid-rss-rogers.png)